News Flash Home
The original item was published from 5/2/2022 8:22:01 AM to 5/11/2022 12:00:02 AM.

News Flash

Home

Posted on: May 2, 2022

[ARCHIVED] Traffic Alert

Traffic Alert

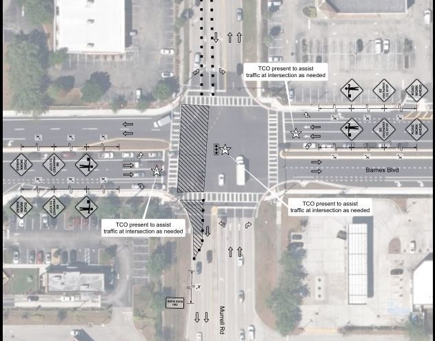
On Monday, May 9th between the hours of 8:00pm and 5:00am, utility work will take place at the intersection of Barnes Boulevard and Murrell Road. Utility crews will need to momentarily close portions of the intersection to remove and replace overhead conductors. Traffic control signs will be installed to assist the motoring public. Law Enforcement will be present to assist in the control of the intersection.

May 9 Traffic Plan

Facebook Twitter Email

Other News in Home